エノキ

科名
ニレ
タイプ
落葉高木

解説

谷斜面や川沿い など、崩れやすい不安定な場所に生育することが多い樹木です。そのため、エノキが生えている場所は、過去の川のかく乱や土砂崩れがあったことを示していると考えられます。日本の国蝶(こくちょう)のオオムラサキの幼虫はエノキの葉を食べ、成虫はクヌギやコナラの樹液を吸います。オオムラサキを観察する時は、これらの樹木や森林がセットになっている所がポイントです。
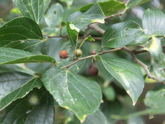
高さ15~20mにも達する落葉高木です。葉は互生します。葉の形は柄のつけ根の部分が左右非対称になり、鋸歯(きょし)も真ん中から上につくのが特徴です。

写真の解説にある専門用語雌雄同株(しゆうどうしゅ)

開花と実のなる時期

花が咲く時期:4月-5月
実がなる時期:10月-11月

方言名とその分布

※この樹木の方言名はありません。
© 広島西部山系植生図鑑
閉じる